똘똘한나무늘보117
- 반려동물 건강반려동물Q. 밥도 거부하고 물도 안마시고 구토하고 설사를 해요 오늘 아침부터 기력이 없어보였고 점심쯤 사료주니 안 먹길래 치우고 당근 조금 잘라서 먹이고 저녁 산책 전까지 물도 안마시고 집에서 배변활동도 없고 산책 나가니 마킹, 묽은 변 봤고 들어와서도 바로 다시 무기력 상태였어요 시그니처바이에 사료 섞어서 줬는데도 거부했고 방금 오전에 먹은 당근하고 산책 중 뜯어먹은 풀 조금 토해낸 후에 갑자기 붉은 설사를 막 쏟아냈는데 이게 혈변인건지 아니면 그냥 붉은 설사인건지.. 혈변이 맞나요? 장염 증상인건지.. 이주전에도 혀 낼름낼름 구토증상 등 있어서 병원 내원했었는데 자주 이런일이 있는게; 내일 병원에 가봐야하겠죠
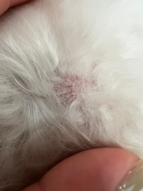
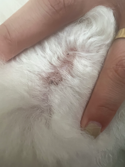
- 반려동물 건강반려동물Q. 피부에 작은 딱지들과 각질이 생겼어요 털 사이사이 보다 보니 작은 딱지들이랑 각지들이 많이 생겼더라구요 일주일전에 미용 다녀왔고 그때 엉켜있는 부분이 많았다곤 했었는데 푸는 과정때문에 생긴 단순 딱지인건지 피부병인지 해서요 팔 다리 엉덩이 등빼곤 대부분 있는거 같아요 병원에 가서 피부병 검사 등 받아야 할지 아니면 강아지 연고 같은거 사서 발라주면 될까요?