아하
  • 토픽

  • 스파링

  • 잉크

  • 미션


허기진하양이

허기진하양이

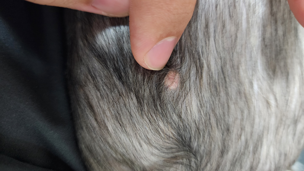
강아지 허벅지 쪽에 뭔가 생겼어요.

반려동물 종류

강아지

품종

시츄

성별

암컷

나이 (개월)

12

몸무게 (kg)

6

중성화 수술

없음

강아지 엉덩이인가 허벅지 쪽에 뭔가 몽글몽글한게 생겼어요. 등쪽에도 있는데 그건 뾰루지라고 단정을 받았는데 이것도 뾰루지같은 건가요? 아니면 병원을 가야할까요





1개의 답변이 있어요!

  • 이은수 수의사

    이은수 수의사

    프리랜서

    안녕하세요. 이은수 수의사입니다.

    사마귀 양상으로 관찰되지만 다른 종괴성 병변을 배제할 수 없고, 특히 면역 억제를 일으키는 내분비계 질환에 의해 사마귀가 잘 생기니 전신적인 건강검진을 받으시는걸 추천합니다.