아핫뉴스실시간 인기검색어
아핫뉴스 화산 이미지
화산 아이콘 11
이재명 대통령 이해찬 조문
많이 본
아하

반려동물

반려동물 건강

아마도강력한카네이션
아마도강력한카네이션

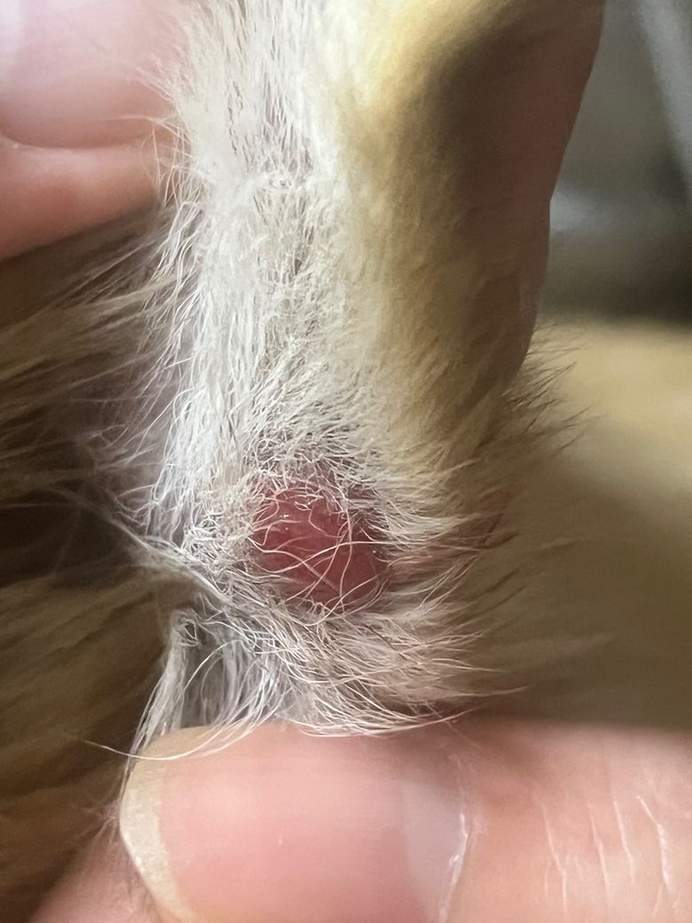
강아지 귀에 최근에 핑크색 종기가 생겼어요

반려동물 종류
강아지
품종
믹스
성별
암컷
나이 (개월)
5년
몸무게 (kg)
14
중성화 수술
1회

육아종성 병변 같은 것으로 보이는 종기가 최근에 생겼는데 딱지를 떼니까 사진처럼 보이는데, 동물 병원 내원 후 FNA가 필요할까요?

2개의 답변이 있어요!
  • 안녕하세요. 이은수 수의사입니다.

    몸에 어떤 종괴성 병변이 발생하면

    1. 종양

    2. 농양

    3. 육아종

    4. 혈종

    으로 구분합니다. 사진상 2와 4의 가능성은 낮아보이지만 erosive한 병변으로 1을 배제할 수 없는 바 FNA나 inprinting이 추천됩니다. 사람병리와 달리 외견상 양성처럼 보이는 병변임에도 동물에서는 악성인 경우가 많아 반드시 세포학적 검사가 필요합니다.

  • 안녕하세요. 박창민 수의사입니다. 동물 병원에 내원은 하셔야 합니다. FNA도 하시면 좋고 FNA의 여부를 떠나서 절제 및 제거를 해야 할 거 같습니다. 감사합니다.