이네이
- 반려동물 건강반려동물Q. 강아지에게 모르고 외용제 소독약(항문낭피부소독)을 내복약인줄 알고 4회정도 약, 밥과 섞어 먹였어요강아지에게 모르고 외용제 소독약(항문낭피부소독)을 내복약인줄 알고 4회정도 약, 밥과 섞어 먹였어요핑크색 투명 액체인데 위세척 해야하나요?건강상태는 평소와 아무런 차이가없습니다
- 반려동물 건강반려동물Q. 강아지 담낭 찌꺼기가 차있다고 하는데 수술해야 하는 정도일까요? 초음파로도 보인다고 합니다안녕하세요 강아지 담낭 찌꺼기가 차있다고 하는데 수술해야 하는 정도일까요? 초음파로도 보인다고 합니다엑스레이 사진에서 저정도 보이면 바로 수술해야한다고 하는데 걱정입니다보통 몇일 입원하나요?
- 청소생활Q. 에어컨 매립배관을 사용하고 있는데 매립배관안에 곰팡이가 있을수있나오?안녕하세여 이사왔는데 매립배관이라 연결설치했습니다 근데 자꾸 에어컨에 곰팡이가 생겨나는데 매립배관안에 곰팡이가 있을수있는건가오? 사람불러서 세척가능한가오?
- 세탁수선생활Q. 캐리어 안에 생긴 곰팡이 제거는 어떻게 해야하니요안녕하세요 캐리어 안에 섬유에 곰팡이가 생겼습다 곰팡이 제거해서 쓸수있나오? 평소에 캐리어에 물건 보관하면 안되나오. ? 열어둬야하나요?
- 계절가전디지털·가전제품Q. 다들 에어컨 청소를 주기적으로 부르시나요?안녕하세요 에어컨 청소를 주기적으로 불러서 청소를 하시나요? 원래 곰팡이가 끼는게 다들 그런건가요? 일반 가정집에서 주기적으로 불러야하는지 궁금합니다
- 세탁기·건조기디지털·가전제품Q. 에어컨에 곰팡이가 폈는데 어떻게 관리해야하니요에어컨에 곰팡이가 폈습니다 필터청소만 하면 되는줄 알았는데 정기적으로 청소업체를 불러야하나요? 어떻게 에어컨 관리하시는지 궁금합니다
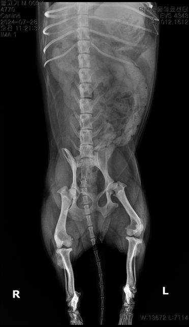
- 반려동물 건강반려동물Q. 순차적으로 고관절 에 관해 봐주시기 부탁드립니다.3 사진이 순차적입니다 순차적으로 고관절에 큰 변화가 있나요?마지막 보여지는 부분에서 오른쪽 고관절이 탈구된거라고 하는데 이전 사진에서는 탈구가 안되었나요?
- 반려동물 건강반려동물Q. 동물병원에서 진료시 엑스레이 사진이나 초음파 영상들을 보호자에게 못주나요?동물병원에서 진료시 엑스레이 사진이나 초음파 영상들을 보호자에게 못주나요?다른 병원에 보내주는건 되도 보호자에게 보내줄수는 없다는 병원이 있는데 원래 그런가요?제 지인은 다 받았다고 했는데 안되는 병원이 따로있나요
- 기타 법률상담법률Q. 동물병원에서 강아지를 치료하다가 관절탈구가 생겼습니다 이럴경우 소송을 진행하면 ?동물병원에서 강아지를 치료하다가 관절탈구가 생겼습니다 이럴경우 소송을 진행하면 얼마정도의 합의금을 받을 수 있는건가요 소송비용은 대략 어느정도인지도 궁금합니다
- 반려동물 건강반려동물Q. 강아지가 뒷 골반 탈구가 되는 원인이 무엇인가요 ? 단시간에 물리적인 힘으로도 그럴수있나요안녕하세요 강아지가 뒷 골반 탈구가 되는 원인이 무엇인가요 ? 단시간에 물리적인 힘으로도 그럴수있나요지속적인 문제가 아닌 일시적으로 인간의 제지로 인해도 그럴수있나요