아하
  • 토픽

  • 스파링

  • 잉크

  • 미션


이네이

이네이

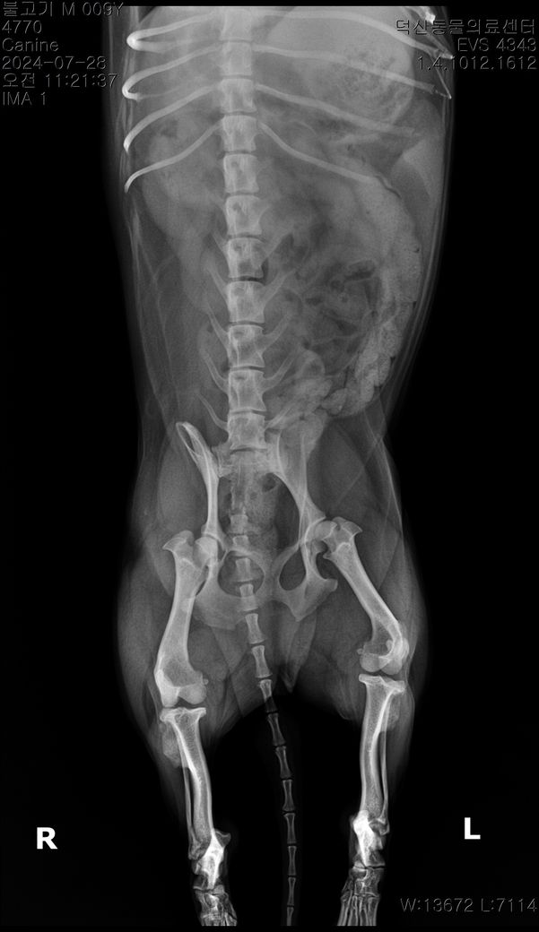
순차적으로 고관절 에 관해 봐주시기 부탁드립니다.

반려동물 종류

강아지

3 사진이 순차적입니다 순차적으로 고관절에 큰 변화가 있나요?

마지막 보여지는 부분에서 오른쪽 고관절이 탈구된거라고 하는데 이전 사진에서는 탈구가 안되었나요?

1개의 답변이 있어요!

  • 이은수 수의사

    이은수 수의사

    프리랜서

    안녕하세요. 이은수 수의사입니다.

    마지막 사진은 촬영할때 환자가 몸을 꼬아서 뒤틀려진 고관절이 찍힌 사진으로 이 사진으로는 고관절 탈구를 평가하면 안됩니다. 앞 사진에서는 탈구가 관찰되지 않고, 특히 연골이형성품종에 해당하는 환자이기 때문에 정상범주가 매우 높습니다. 주치의의 상담을 받으시기 바랍니다.