아하
  • 토픽

  • 스파링

  • 잉크

  • 미션


완벽히활발한계란후라이

완벽히활발한계란후라이

강아지 등에 뭐가 낫는데 진드기일까요?

반려동물 종류

강아지

품종

웨스티

성별

수컷

나이 (개월)

40

몸무게 (kg)

7

중성화 수술

1회

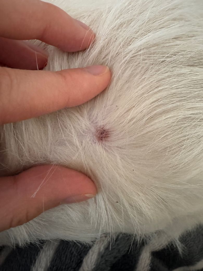
웨스티 친구 키우는데 등쪽에 이런게 약간 단단하게 여드름같이 하나 낫더라고요 검정색 딱지?같은건 떨어진 상태였는데 뭐일까요?

2개의 답변이 있어요!

  • 이은수 수의사

    이은수 수의사

    프리랜서

    안녕하세요. 이은수 수의사입니다.

    사진으로는 구분할 수 없습니다. 동물병원에 데려가서 진료 받으시고 주치의 확인을 받으시기 바랍니다.

  • 안녕하세요. 박주찬 수의사입니다.

    사진상 진드기는 확인되지 않습니다. 피부병 주변으로 털을 부분적으로 상모해서 확인을 해봐야 될것 같습니다.

    병변이 추가적으로 더 있는지 확인도 해 보시는 것을 권유드립니다