반려동물
미용가위에 잘린 강아지 피부 다시 자라나요?
반려동물 종류
강아지
품종
말티즈
성별
암컷
나이 (개월)
6살
몸무게 (kg)
3
중성화 수술
없음
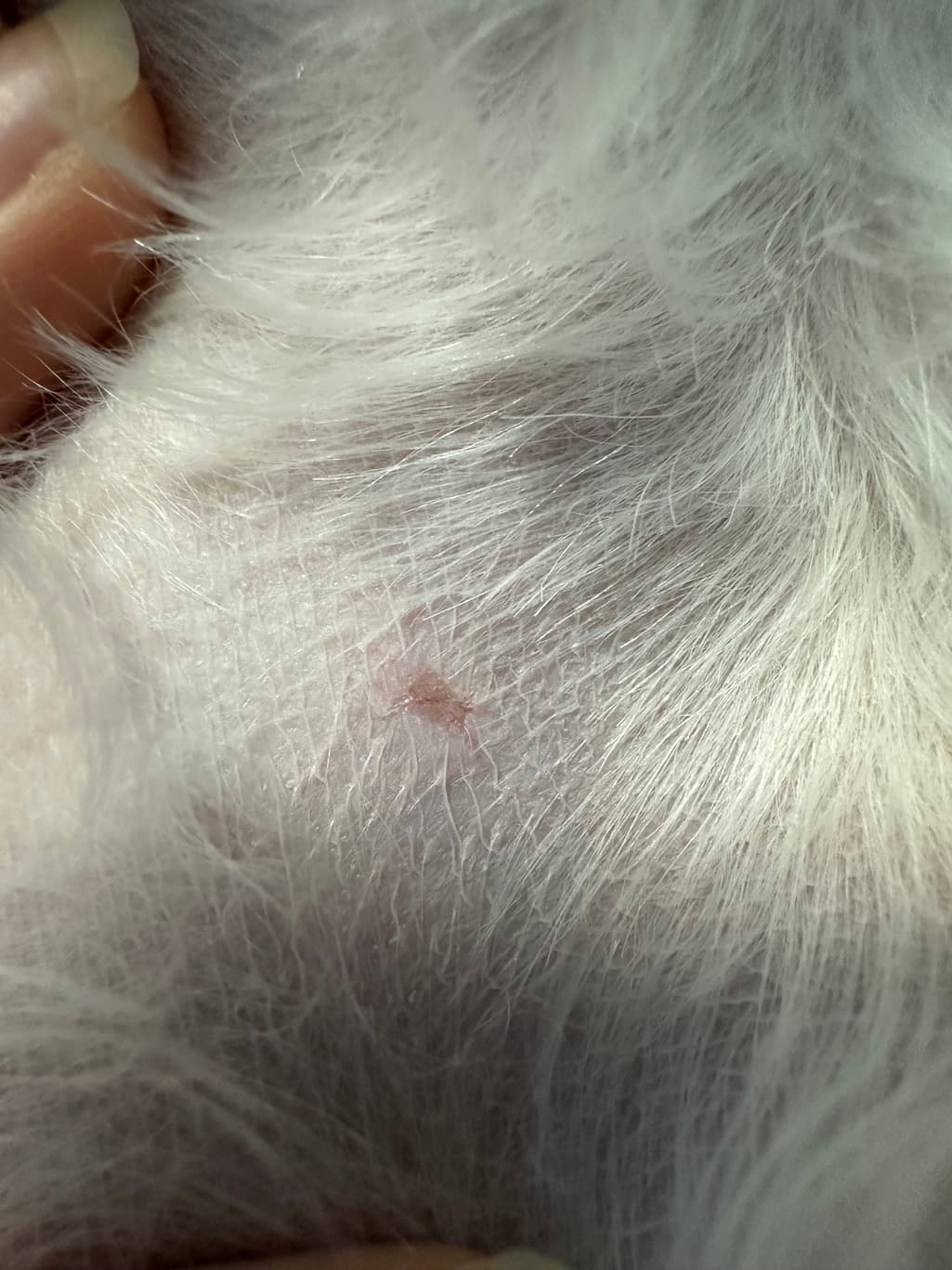
강아지 피부가 살짝 잘려서 너무 걱정되는데 어떻게 해줘야 하나요 시간지나면 괜찮아 지나요?? 다리쪽 피부라 더 연약할거같은데 연고 발라주면 될까요?
55글자 더 채워주세요.
2개의 답변이 있어요!
안녕하세요. 박주찬 수의사입니다.
이정도면 봉합할 정도는 아닌듯 합니다. 잘린게 아니라 포가 떠져버렸네요
헥시딘 및 포비돈 소독약 바르고 후시딘 매일 도포해주시고
그 부분 핥거나 긁지 않게 넥칼라 착용해주시기 바랍니다.
안녕하세요. 이은수 수의사입니다.
치유가 되는 과정중에 피부 결손부가 수축하면서 크기는 작아지지만 다시 자라나는것은 아닙니다.
소독이 더 중요하고 감염에 의한 이차적문제가 잇을 수 있으니 동물병원에 데려가서 주치의의 판단에 따르시기 바랍니다.

