아하
  • 토픽

  • 스파링

  • 잉크

  • 미션


친근한바구미71

친근한바구미71

24.11.08

2개월 고양이 뒷다리에 아토피나 습진 같은 게 있는데 이게 뭔가요?

반려동물 종류

고양이

품종

랙돌

성별

수컷

나이 (개월)

2개월

중성화 수술

없음

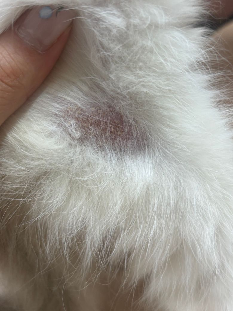
2개월 랙돌이구요 분양샵에사 데리고 간 2주 후에 1차 접종부터 맞으라고 해서 아직 데려가진 않았어요 근데 오늘 보니 다리에 땜빵났다고 해야하나..? 이게 뭘까요..?

3개의 답변이 있어요!

  • 탈퇴한 사용자

    탈퇴한 사용자

    24.11.12

    안녕하세요. 박근필 수의사입니다.

    겉으로 드러난 모양 모습만 봐서는 정확히 뭔지 알기 어렵습니다.

    예컨대 세균성 피부 질환과 곰팡이성 피부 질환이 비슷하게 보이는 경우도 많으며

    이러한 감염성 질환이 아닌 물리적 자극(핥음 등)에 의해서도 발생할 수 있기 때문입니다.

    따라서 정확한 질환명과 원인 등을 알기 위해서는 병원에 내원하셔서 진찰을 받으시길 바랍니다.

    반려동물 필수 지침서, 매뉴얼인 <할퀴고 물려도 나는 수의사니까> 책을 참고해 주세요.

    반려동물을 키울 때 필요한 필수 상식이 담겨 있어 큰 도움이 되실 겁니다.

  • 안녕하세요. 이은수 수의사입니다.

    고양이 탈모 원인에는 https://diamed.tistory.com/172 처럼 다양한 원인이 있고, 어린 자묘이기 때문에 곰팡이성 피부병 등 전염성 질환이 1차적인 의심대상입니다. 사람에게도 옮는 질환이기도 하니 우선 동물병원에 데려가서 정확한 진단을 받으시기 바랍니다.

  • 안녕하세요. 박창민 수의사입니다. 사진으로는 판단이 불가합니다. 링웜일 수도 기타 피부 질환일 수도 있습니다. 일단 동물 병원에 가셔야 할 거 같습니다. 감사합니다.