아핫뉴스실시간 인기검색어
아핫뉴스 화산 이미지
화산 아이콘 11
비트코인 내년 폭등 예정
많이 본
아하

반려동물

반려동물 건강

심각한기린234
심각한기린234

고양이 상처 어떻게 치료하죠?

반려동물 종류
고양이
품종
브리티쉬 숏헤어
성별
수컷
나이 (개월)
2살
몸무게 (kg)
3
중성화 수술
1회



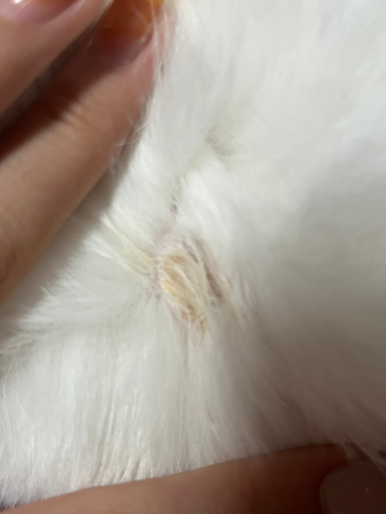
목 옆에 난 상처인데요..고양이가 게속 저쪽만 뒷발로 며칠을 긁길래 봤더니 털이 진물?같은걸로 젖어있고 빠지고 엉키고 그랬더라고요..상처가 난건맞는거같은데 집에서 치료할수있는건가요?

2개의 답변이 있어요!
  • 안녕하세요. 이은수 수의사입니다.

    상처의 깊이에 따라 치유 방법은 달라 집에서 하는것은 경우에 따라 병변의 악화를 방치하는게 될 수 있습니다. 되도록 동물병원에 데려가서 확인 받고 상태에 따른 치료를 받으시기 바랍니다.

  • 안녕하세요. 이광섭 수의사입니다.

    피부병의 원인을 정확히 알기 위해서는 병원에 내원하여 여러 검사를 통해 원인을 파악해야합니다. 단순 외상으로 인한 염증인지 감염에 의한 것인지 확인을 해야 그에 맞는 치료를 받으실 수 있습니다. 따라서 우선 진단을 받으시고 그에 맞는 홈케어 방법또한 수의사선생님께서 말씀해주실 테니 병원에 내원해주시는 것이 좋겠습니다.