아하
  • 토픽

  • 스파링

  • 잉크

  • 미션


똘똘한나무늘보117

똘똘한나무늘보117

23.06.25

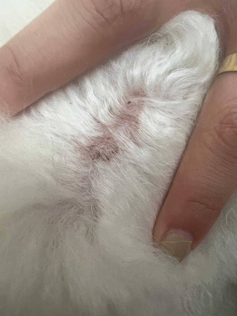
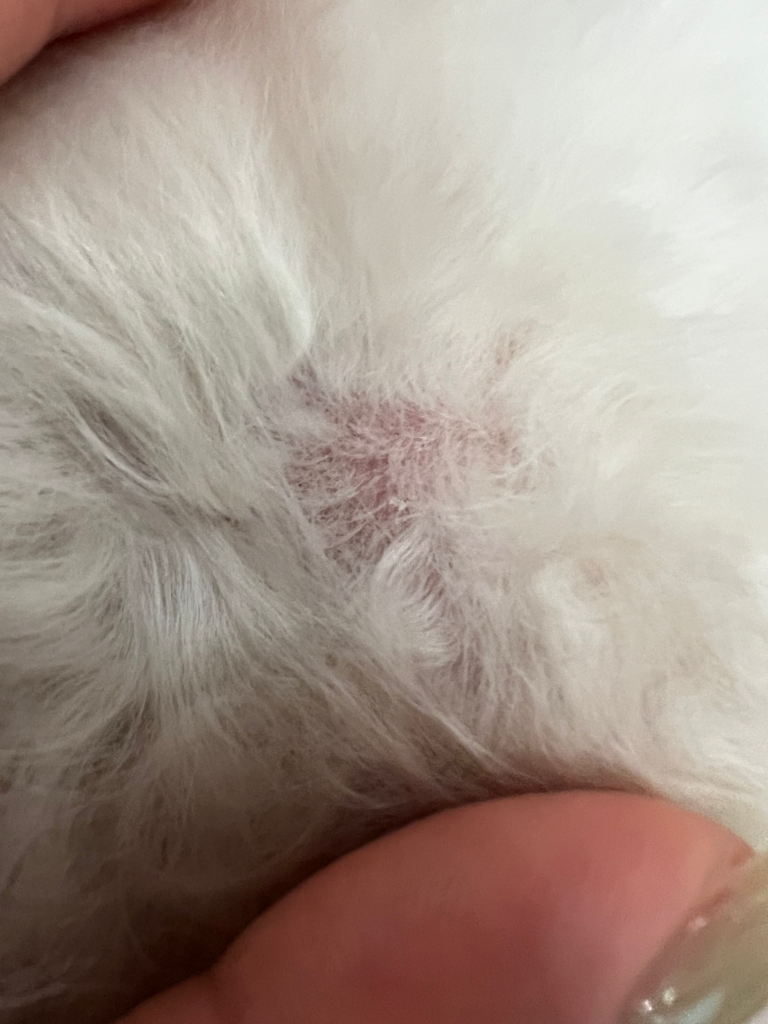
피부에 작은 딱지들과 각질이 생겼어요

반려동물 종류

강아지

품종

비숑프리제

성별

수컷

나이 (개월)

3

몸무게 (kg)

8

중성화 수술

1회









털 사이사이 보다 보니 작은 딱지들이랑 각지들이 많이 생겼더라구요 일주일전에 미용 다녀왔고 그때 엉켜있는 부분이 많았다곤 했었는데 푸는 과정때문에 생긴 단순 딱지인건지 피부병인지 해서요 팔 다리 엉덩이 등빼곤 대부분 있는거 같아요 병원에 가서 피부병 검사 등 받아야 할지 아니면 강아지 연고 같은거 사서 발라주면 될까요?

2개의 답변이 있어요!

  • 탈퇴한 사용자

    탈퇴한 사용자

    23.06.25

    안녕하세요. 박창석 수의사입니다

    빠른 시일 내로 병원에 가서 제대로 된 검사를 받으시고 정확한 진단을 통한 처방으로 치료해 나가야 합니다 피부병은 만성이 되면은 그 완치가 되지 않습니다 더많이 번지기 전에 빠른 치료를 해주어야 합니다 바로 병원으로 가보시길 바랍니다.

  • 안녕하세요. 이은수 수의사입니다.

    피부 질환의 가능성이 있기 때문에 동물병원에 데려가서 진단을 받고 원인에 따라 치료 방향을 결정하시는걸 추천합니다.