아핫뉴스실시간 인기검색어
아핫뉴스 화산 이미지
화산 아이콘 11
장동혁 대표 쌍특검 요구 단식
아하

반려동물

반려동물 건강

수려한메추리216
수려한메추리216

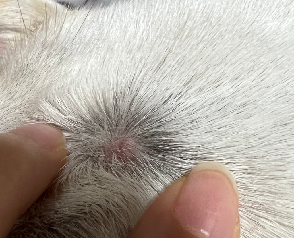
진드기 떼어낸 자리가 딱딱하게 남았는데 괜찮을까요?

반려동물 종류
강아지
성별
암컷
몸무게 (kg)
16

애기때 진드기 떼어낸 자리가 딱딱하게 뾰루지처럼 나와있더라구요ㅜ 아파하거나 못만지게 하지는않는데

머리쪽이라서 그런걸까요?




1개의 답변이 있어요!
  • 안녕하세요. 이은수 수의사입니다.

    통상 진드기를 떼어내면서 진드기의 머리가 피부 아래에 박혀있는 경우가 있고 그렇게 되면 만성적인 염증의 원인이 됩니다. 동물병원에 데려가서 확인 받으시는걸 추천합니다.