아하
  • 토픽

  • 스파링

  • 잉크

  • 미션


충분히자존감높은해바라기

충분히자존감높은해바라기

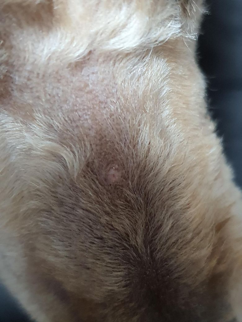
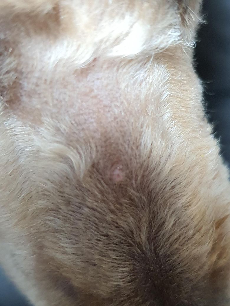
강아지 코에 이상한게 났어요ㅠㅠㅠㅠ

안녕하세요!ㅠ

강아지 코에 이상한게 났어요

뭔지 알 수 있을까요?

답변달아주셔서 감사합니다

즐거운 하루 보내세요ㅠ

ㅠㅠㅜㅠㅠ

1개의 답변이 있어요!

  • 이은수 수의사

    이은수 수의사

    프리랜서

    안녕하세요. 이은수 수의사입니다.

    몸에 어떤 덩어리가 생기면

    1. 종양

    2. 농양

    3. 육아종

    4. 혈종

    중의 하나로 봅니다. 사진상으로는 2와 4의 가능성은 낮아보이지만 1과 3은 구분할 수 없습니다. 동물병원에 데려가서 진료 받아보시는걸 추천합니다.