아핫뉴스실시간 인기검색어
아핫뉴스 화산 이미지
화산 아이콘 11
차은우 200억 탈세 의혹
아하

반려동물

반려동물 건강

힘센텐렉229
힘센텐렉229

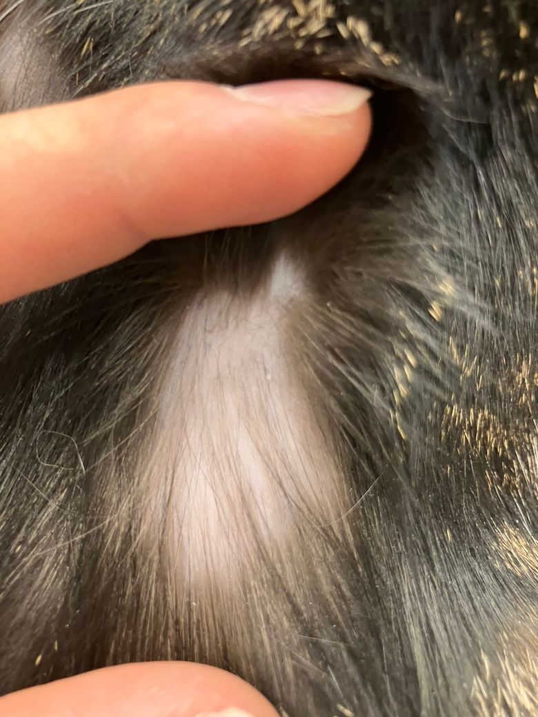
고양이 어깨쪽 털빠짐 원인이 궁금해요

반려동물 종류
고양이
품종
한국고양이
성별
암컷
나이 (개월)
5년
몸무게 (kg)
3
중성화 수술
1회

안녕하세요

일주일 전에 발견했는데 고양이 어깨, 등쪽에 털빠짐이 있더라구요

고양이가 핥으려고 하거나 불편해하는 기색은 보이지 않고 육안으로 피부 병변이 보이지는 않아요

갑자기 털이 빠지게 된 원인이 궁금해요

2개의 답변이 있어요!
  • 피부 자체의 문제는 특별히 없는것으로 보이는 사진이지만 일부 색소 침착이 동반되어 관찰되기 때문에 대사질환에 해당하는 내분비계통의 전신적인 질환 가능성이 높아 보입니다. 동물병원에 데려가서 건강검진을 받으시기 바랍니다. https://diamed.tistory.com/172

  • 안녕하세요. 박창민 수의사입니다. 사진으로는 판단 및 평가가 불가합니다. 고양이가 불편함을 느끼지 않아서 다행이지만 국소적 탈모에는 스트레스, 알레르기 등 다양한 요인이 있기 때문에 동물병원에서 검사가 필요합니다. 감사합니다.