반려동물
여자강아지 중성화 수술후 상처 부풀어오름?ㅜ
반려동물 종류
강아지
품종
골든리트리버
성별
암컷
나이 (개월)
1년8개월
몸무게 (kg)
30
중성화 수술
1회
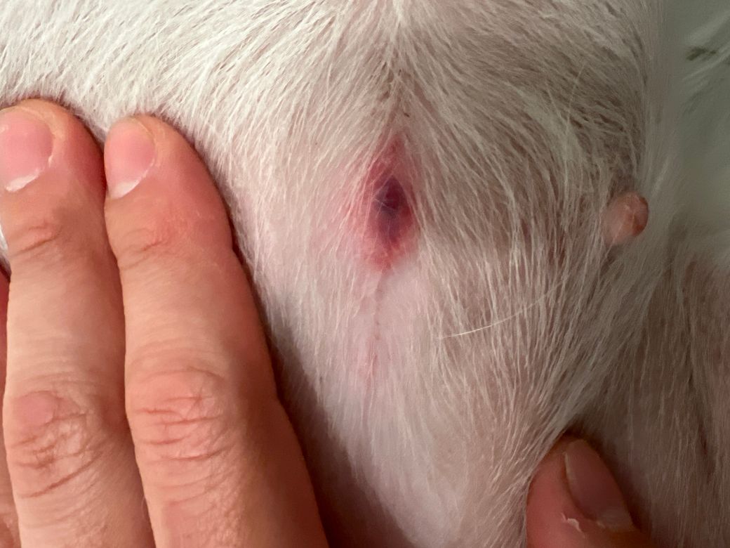
암컷 강아지이구요. 한달전에 중성화 수술했어요. 오늘 갑자기 수술자국이 부풀어올라와있는데 이게 왜그런걸까요? 염증일까요?
55글자 더 채워주세요.
3개의 답변이 있어요!
안녕하세요. 박주찬 수의사입니다.
정말 드물게 흡수성 봉합사가 염증오류를 가서 저렇게 발촉이 나타나는 경우가 있습니다. 병원을 가셔서 상담해 보시고 후추성 봉합사고 염증항 일으킨 것이라며 해당 부분을 수술해야 할 수도 있습니다
1명 평가안녕하세요. 이은수 수의사입니다.
주변 발적이 관찰되어 염증 가능성이 있습니다.
집도해준 주치의 확인을ㅇ받으시기 바랍니다.
안녕하세요. 박창민 수의사입니다. 일단 더 이상 손으로 만지기 마시고 반려견도 넥카라를 씌우시고 동물 병원으로 가셔야 할 거 같습니다. 가능하면 집에서 소독을 하고 거즈나 솜으로 테이핑을 하고 가시길 바랍니다. 감사합니다.

