아핫뉴스실시간 인기검색어
아핫뉴스 화산 이미지
화산 아이콘 11
남정희 별세
아하

반려동물

반려동물 건강

단호한애벌래215
단호한애벌래215

강아지 탈모 증상 피부병인가요?

반려동물 종류
강아지
품종
진도믹스
성별
암컷
나이 (개월)
1년
몸무게 (kg)
15
중성화 수술
1회

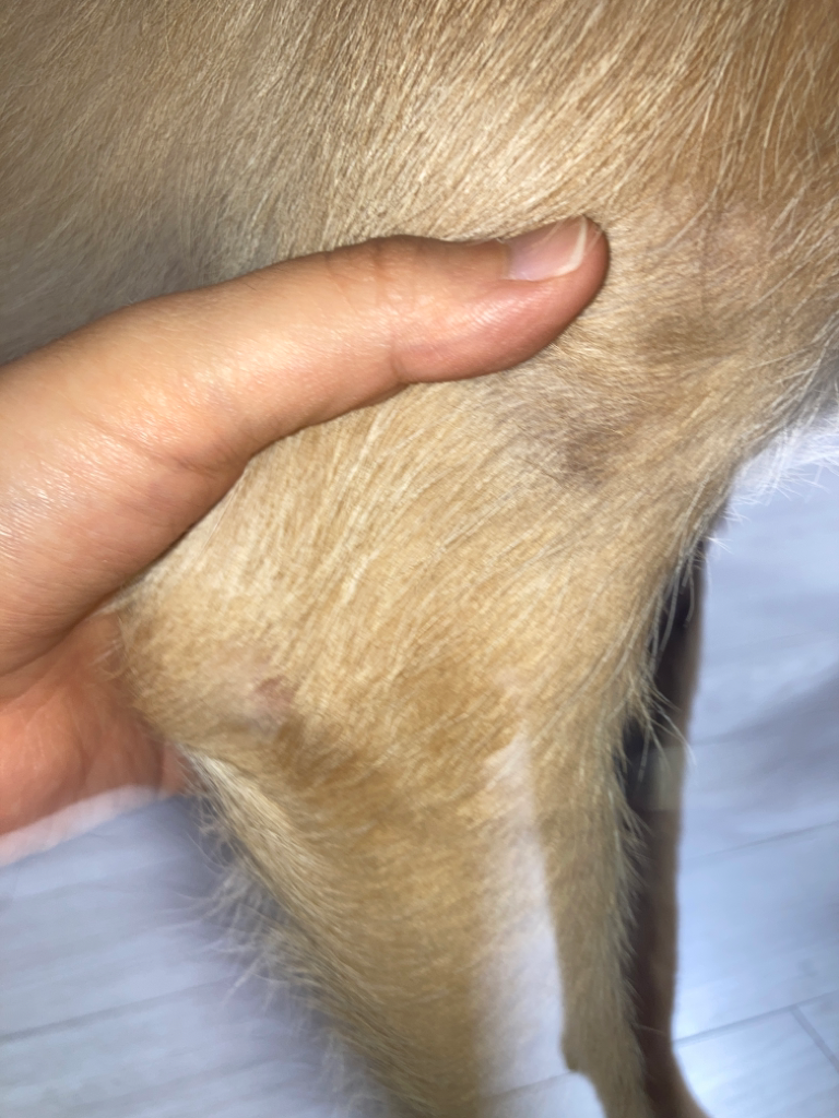
최근 강아지 몸에 군데군데 원형 탈모처럼 털이 빠진 부분들이 생겼습니다.


근처 동물병원1에서는 스트레스성이다, 동물병원2에서는 뭔가에 물려서 간지러워 그런 것이다 해서 각기 다르게 진료 받고 왔는데


일주일이 지난 지금 다시 살펴보니 허벅다리 쪽에 군데군데 원형으로 털 빠진 부분이 보여서 혹시나 링웜같은 피부병인가 싶어서 문의합니다.








5개의 답변이 있어요!
  • 탈퇴한 사용자
    탈퇴한 사용자

    안녕하세요. 이경민 수의사입니다.

    피부질환은 육안으로 평가할 수 있는 부분이 아닙니다.

    원인이 너무나도 다양하기 때문에

    장기간의 검진과 장비들이 필요로 합니다.

    우선 몸 전반적으로 증세가 나타났다면

    면역력저하, 감염성질환 등등이 의심되는 상황입니다.

    증세가 악화되고 있는 상태이므로 동물병원에서 적절한 처치를 받도록 하는 것이 권장됩니다.

    답변이 도움이 되었기를 바라며, 시간내어 좋아요 추천 한번 씩 눌러주시면 감사합니다.

  • 안녕하세요. 박주찬 수의사입니다.

    곰팡인지 아닌지는 정확하게 아려면 배양 검사를 해야 정확합니다. 눈으로 봐서는 정확하게 알 수 없습니다.

    하지만 배양이 나오든 안나오든 치료적 진단으로 약 먹이고 약용샴푸로 하시는 것이 더 편하고 경제적이므로 많은 부분에서 이렇게 치료하는 것이죠

    우선 병원에서 처방한 내복약으로 관리하시면서 꼭 음식 관리를 하시는 것을 권장드립니다.

    간식이나 사람 먹는 음식 급여하지 마세요

  • 안녕하세요. 박예신 수의사입니다.탈모증 증상이 오늘같이 이렇게 명확하게 나타나지 않을 때는 어떤 피부병인지 진단 하기가 어려울 수도 있습니다 지금은 아마 병원에 가시면 정확하게 진단을 내려 줄 것이고 치료를 정확하게 할 수도 있을 것으로 봅니다 빠른시일내에 다시 1번 병원에 가셔서 도움을 받으시는 것이 좋겠다고 생각합니다

  • 안녕하세요. 이은수 수의사입니다.

    팔꿈치 부분은 딱딱한 바닥에 엎드령 있는 시간이 많은 경우 자주 발생하는 탈모에 해당하며 지속되면 물혹처럼 커지는 hygroma의 초기 모습에 해당합니다.

    하지만 "일주일이 지난 지금 다시 살펴보니 허벅다리 쪽에 군데군데 원형으로 털 빠진 부분이 보"인다면 전파성이 있는것으로 보이기에 의심하시는 링웜과 같은 감염성 질환을 고려해야 합니다.

    하지만 강아지의 탈모 원인은 https://diamed.tistory.com/311 처럼 다양하니 단순 육안 검사가 아닌 전신적인 건강검진을 받아봐야 원인을 파악할 수 있으니 진단검사를 받아 보시기 바랍니다.

  • 안녕하세요. 박창석 수의사입니다.

    강아지에게 원형탈모증이 온 것은 맞습니다 몸 여러 군데에 특히 허벅지 안쪽에 여러 곳에서 그런 증상이 나타난다는 것은 전체적인 문제로 봐야 할 것 같습니다 스트레스로 올 수도 있고 어떤 감염증이 나타났을 수도 있습니다 그 원인을 빨리 찾았어 해결해 주어야 문제가 해결될 수 있겠습니다 다시 한번 동물병원에 방문하여 써 정확한 원인을 찾아 보시기 바랍니다